В Республике Дагестан установлена новая карантинная фитосанитарная зона по филлоксере виноградной

Управление Россельхознадзора по Республике Дагестан информирует, что согласно приказу от 08.07.

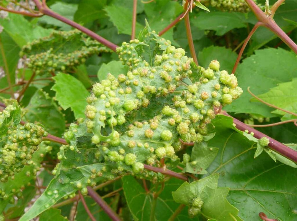
Управление Россельхознадзора по Республике Дагестан информирует, что согласно приказу от 08.07.2024 №92 «Об установлении карантинной фитосанитарной зоны и введении карантинного фитосанитарного режима по карантинному объекту — филлоксере виноградной (Viteus vitifolii (Fitch)) на территории Кайтагского и Дербентского районов Республики Дагестан» установлена карантинная фитосанитарная зона и введен карантинный фитосанитарный режим по филлоксере виноградной на общей площади 44676,48га.

Филлоксера виноградная является опасным карантинным вредителем винограда, особенно для европейских сортов. Распространение филлоксеры происходит в основном с помощью зараженного посадочного материала винограда (черенками, саженцами), а также сельскохозяйственной техникой, при помощи ветра (до 17 км), воды при поливе или дожде.

В соответствии частью 4 статьи 20 Федерального закона от 21.07.2014 № 206-ФЗ «О карантине растений» в карантинной фитосанитарной зоне мероприятия по осуществлению локализации очагов карантинного объекта или ликвидации популяции карантинного объекта осуществляются за счет средств граждан и юридических лиц, имеющих в собственности, во владении, в пользовании, в аренде подкарантинные объекты. Управление напоминает, что повсеместная и эффективная борьба с карантинными организмами способствует ликвидации их очагов.

Информация о карантинных фитосанитарных зонах, установленных на территории Республики Дагестан, размещена в информационно-телекоммуникационной сети «Интернет» на официальном сайте Управления по адресу https://05.fsvps.gov.ru/wp-content/uploads/sites/55/2023/02/Приказ-№92_0001.pdf

Россельхознадзор информирует

Последние новости

Почему не стоит доверять ремонт сервоприводов сомнительным сервисам

Как не отдать оборудование на "пытку" и не остаться с кучей железа и нулевым результатом

Неделя здоровья матери и ребёнка проходит в Дагестане

Неделя здоровья матери и ребенка, посвященная Дню неонатолога — специалиста, занимающегося уходом за новорожденными, стартовала в республике 31 марта.

Марат Алияров: «Очень важно, когда народная дипломатия скрепляет исторически сложившиеся связи»

Депутат Народного собрания Дагестана Марат Алияров прокомментировал пресс-коференцию спикера республиканского парламента Заура Аскендерова, которая состоялась 3 апреля в Москве:

Коррекция фиброза и возрастных изменений: когда показан эндотканевой лифтинг

Как современная технология помогает вернуть коже упругость, убрать отёки и улучшить рельеф без хирургии

На этом сайте вы сможете узнать актуальные данные о погоде в Кирово-Чепецке, включая прогнозы на ближайшие дни и часы

Комментарии (0)

Добавить комментарий

Ваш email не публикуется. Обязательные поля отмечены *